
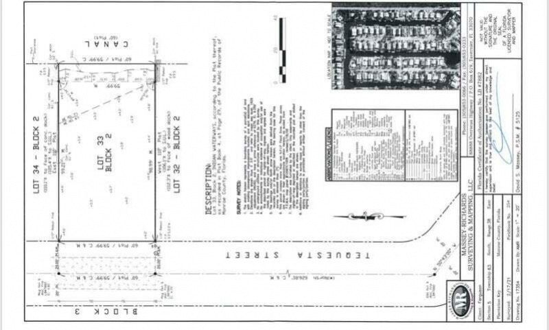
Plantation Key/Village of Islamorada WATERFRONT 60' wide canal lot in the highly sought after Indian Waterways neighborhood. This property has 19 points/# 12 on the BPAS Q 4 2025 list and is positioned with 20 points for potential permit Spring 2026 / Vegetation survey, Lot survey, House plans for a 3/2 , CBS 2183 Square foot home included. 60' Engineered dock & dredging plan. OR Bring your TDR and get started now! 60' canal frontage with great access to the Bay and Ocean, ready for your dream...Plantation Key/Village of Islamorada WATERFRONT 60' wide canal lot in the highly sought after Indian Waterways neighborhood. This property has 19 points/# 12 on the BPAS Q 4 2025 list and is positioned with 20 points for potential permit Spring 2026 / Vegetation survey, Lot survey, House plans for a 3/2 , CBS 2183 Square foot home included. 60' Engineered dock & dredging plan. OR Bring your TDR and get started now! 60' canal frontage with great access to the Bay and Ocean, ready for your dream home. Plans may be revised after permit is allocated. Contact agent to view plans. Close to schools, shopping, watersports activities. Great access to bay and ocean. Free entrance to nearby Founders Park , the jewel of Islamorada with sandy beach, pickleball, tennis, bayfront, dogpark, vida course, basketball, Olympic pool (small entry fee), concerts and more.. Voluntary Neighborhood Community Homeowners park with boat ramp & sunsets available for small annual fee ($175.00). Call for additional details. BPAS is a Building Permit Allocation System, there is not currently a building permit included in this purchase.
View MoreCourtesy of
Agency Name: Better Homes and Gardens Real Estate Destinations
Agency Phone: (305) 451-1020
Agent Name: Marilyn Bastron
Presented by
Agent Name: Carlos A. Melendez
Agent Phone: 561.676.7112
Agency Title: The Keyes Company
Request Info
Send an email with a link to
148 Tequesta Street, Islamorada, FL 33070.
Email 148 Tequesta Street, Islamorada, FL 33070
Thank you for your inquiry! As a thank you, we have a Special Mortgage Offer for You.
We would like to provide you a free, no-obligation, home loan pre-approval review.